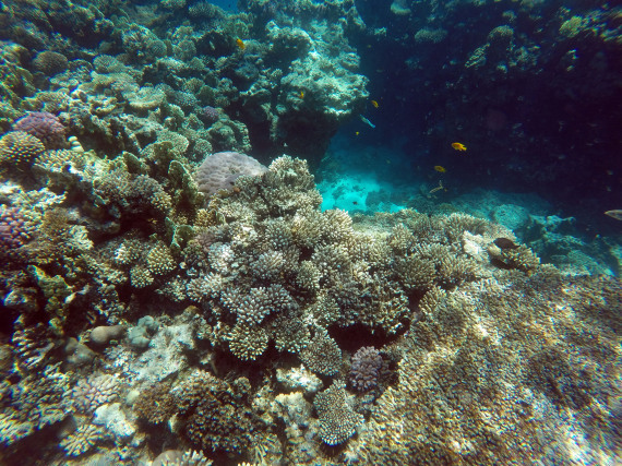
新华社北京4月16日电 两家专业机构15日警告,由于气候变化导致海洋温度升高,全球范围内的珊瑚礁都在经历大规模白化,或许会演变为有史以来最严重的白化期。
美国有线电视新闻网15日报道,美国国家海洋和大气管理局以及“国际珊瑚礁倡议”组织发布联合声明说,过去一年里,全球超过54%的珊瑚礁出现了白化现象,涉及大西洋、太平洋和印度洋的大片珊瑚礁,影响至少53个国家和地区。美国佛罗里达州,墨西哥、巴西、澳大利亚、印度尼西亚,南太平洋、红海、波斯湾、加勒比海以及包括非洲东海岸和塞舌尔群岛在内的印度洋等地区的珊瑚大规模白化现象已得到证实。
当海洋温度过高时,珊瑚会吐出生活在其组织中的为其提供颜色和大部分能量的藻类,这样一来,珊瑚就会呈现白色,称为“白化”。如果海洋温度不能恢复正常,珊瑚会大量死亡,威胁到依赖珊瑚的物种和食物链。之前世界出现过三次全球珊瑚白化现象,分别发生在1998年、2010年以及2014年至2017年之间。
美国国家海洋和大气管理局珊瑚礁观察计划协调员德里克·曼泽洛说,遭遇这种高温的珊瑚区域比例每周增加约1%,预计用不了多久白化占比就会超过先前56.1%的峰值。
联合国环境规划署曾警告,如果不能显著降低碳排放,本世纪全球平均气温可能会比工业化前水平升高近3摄氏度。科学家预测,即使全球变暖幅度控制在2摄氏度,地球上大约99%的珊瑚也将面临死亡风险。
(荆晶)








